
As we wrap up Women’s History Month, there's no better way to honor the achievements, genius, and creativity of female entrepreneurship than buying
Sunday Riley - Edit
Today is Giving Tuesday across the nation and we want to invite you to become a supporter of The Todd […]

Modern women often support several people at once. Children depend on steady reassurance, partners appreciate thoughtful listening, and aging parents

Expecting a child is an exciting yet challenging time, especially when you must balance the demands of family responsibilities and financial support.

On December 14, 2025, entrepreneur Russell Simmons pushed back publicly against Kimora Lee Simmons comments in a recent People magazine

Buckle up, this is a crazy story! Rochanne Douglas says she thought she was doing the right thing when she accepted a

Teen wellness has become one of the most vital concerns for families and educators today. Adolescence is a stage filled with changes that shape a

Native Americans are crucial to the shaping of the past and enduring present of American culture-from agriculture, art, and law to much more.And

White House Press Sec Karoline Leavitt slammed the ‘Seditious Six’ Democrats and made the following remarks: “The White House is supportive of Pete

One of the easiest-and most effective-ways to change the feel of a room? Switch up the rug. Just in time for the colder months, Jaipur Living on Rugs

Rapper Post Malone and his ex-fiancée Hee Sung "Jamie" Park have now settled their months-long custody and support battle over

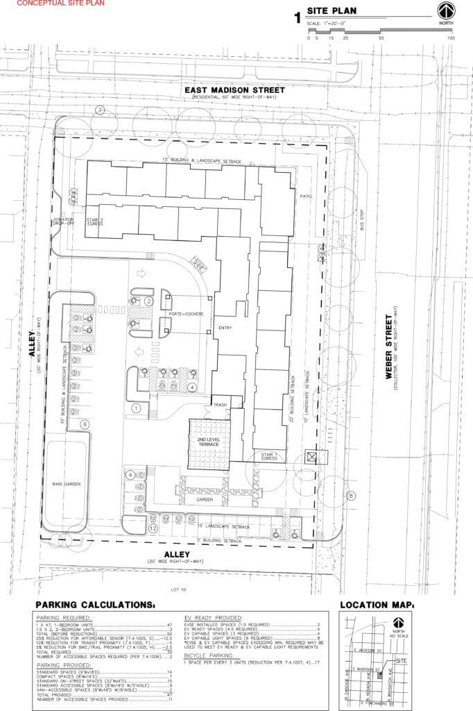
It is an exciting site plan. The landscaping will include 18 trees to be planted in the building setbacks along N. Weber Street and E. Madison

At just 19 years old, Dr. Dorothy Jean Tillman has added another historic milestone to an already extraordinary résumé. The Chicago-born academic